На главную региона

Пермский девелопер завершил расселение домов в рамках КРТ на улице Плеханова

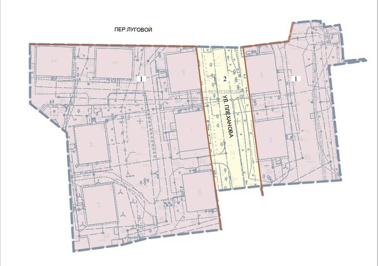
Расселение домов на улице Плеханова в рамках проекта комплексного развития территории полностью завершено. Об этом сообщает министерство по управлению имуществом и градостроительной деятельности Пермского края. Расселение проводила СГ «Развитие». Все собственники расселенных помещений получили компенсации либо новое жилье. Как отметил советник губернатора, председатель инфраструктурного комитета заксобрания Павел Черепанов, это первый проект по расселению аварийного жилья в рамках механизма КРТ, реализованный в регионе.

Напомним, по результатам аукциона на право КРТ на улице Плеханова в Дзержинском районе Перми осенью 2023 года победителем было признано входящее в СГ «Развитие» ООО «СЗ “Экострой”». В обязанности застройщика входили расселение и снос восьми малоэтажных жилых домов и одного административного здания 1950-х годов постройки. Жителям расселяемых домов компания обязана была предоставить другое равнозначное жилье в доме с износом не более 30% или денежную выплату по текущей рыночной цене. На основе сведений из ЕГРН краевое минимущество подтвердило, что в начале ноября 2025 года эти обязательства застройщика выполнены в полном объеме.

«Мы прекрасно понимаем, что именно расселение людей из ветхих и аварийных домов — наиболее социально чувствительная часть проекта. Поэтому мы проводили индивидуальную работу с каждым собственником и осознанно шли на превышение первоначального финансового плана, чтобы не допустить конфликтов и максимально удовлетворить пожелания людей — начиная от выбора района их будущего проживания и заканчивая организацией переезда»,— отметил гендиректор СГ «Развитие» Евгений Равцов. По его словам, в процессе расселения не было допущено ни одного судебного процесса. Сейчас СГ «Развитие» готовится приступить к сносу расселенных домов. Согласно договору о КРТ, в течение семи лет после его подписания застройщик обязан построить на этой территории около 30 тыс. кв. м жилья, детский сад на 51 место, провести реновацию сетей и благоустройство территории.